Stevens Drive Modernization Project

Port of Benton is  modernizing its 2579 Steven Drive rail facility, a critical asset that supports our region’s essential industries. The project is being implemented in phases to ensure long-term functionality with funding secured from CERB (Community Economic Revitalization Board), as well as Benton County funds and Port contributions. 

The first phase focuses on a comprehensive building assessment to:

  • Identify critical infrastructure needs and areas of concern
  • Establish a roadmap for prioritizing improvements
  • Develop a concept for improving the facility’s overall connectivity and use


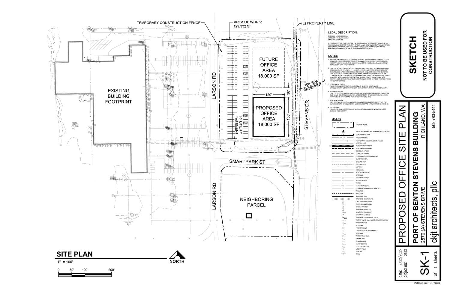
Early findings from the assessment indicate that the existing 6,700-square-foot office building has exceeded its useful life and will need to be replaced. This presents an opportunity for the Port to construct a new office building along Stevens Drive, thereby ensuring continued support for its customers. Removing the existing structure will also streamline operations by allowing the facility to be classified as a factory, exempting it from Washington state’s Clean Buildings Performance Standards.

Current progress updates and the project timeline can be found below.

News & Updates

Sign up to receive Port news and updates in your inbox.

Building Assessment Progress

 

 

PhaseDescriptionProgress
Phase 1Existing Document Review & Field Verifications39%
Phase 2Safety & Code Compliance Review & Preliminary Plan Concept24%
Phase 3Deficiencies Report & Actionable Solutions17%
Phase 4Conceptual Plans for Feasibility & Costing Basis14%
Phase 5Rough Order of Magnitude (ROM) Cost Assumptions & Grant Support6%

Next Steps

Q4 2025

Issue RFQ for new building design, specifications, and permitting

Q3 2026

Issue RFP for construction of new office building

Q4 2026

Begin construction of new office building

Q1 2027

Completion of new office building

In parallel, critical updates to the 2579 rail facility are projected to begin in Q2 2026 and continue through 2028, as additional funding becomes available.

Closed, but still awesome.

  • 1st day of January (New Year’s Day)
  • 3rd Monday of January (Martin Luther King Day)
  • 3rd Monday of February (President’s Day)
  • Last Monday of May (Memorial Day)
  • 19th day of June (Juneteenth)
  • 4th day of July (Independence Day)
  • 1st Monday in September (Labor Day)
  • 11th day of November (Veteran’s Day)
  • 4th Thursday in November (Thanksgiving Day)
  • The day immediately following Thanksgiving Day
  • 25th day of December (Christmas Day)